„Изграждане на плаващ музикален фонтан тип „Водно шоу” в Поморийски залив – гр. Поморие” е наименованието на проект на Община Поморие, който ще бъде реализиран по Програма за морско дело и рибарство 2014-2020. Чрез иновативна система от ефекти, посредством съвременни енергоефективни решения за водна, светлинна и звукова архитектура, през деня фонтаните ще работят в режим на динамични водни фигури с различна височина, които ще оформят водни сцени с минимум 2 работни програми, избрани автоматично според скоростта на вятъра. В определени дни от седмицата след залез слънце, ще има програма от минимум 5 бр. мелодии с изготвена по тях светлинна и водна хореография. Съоръжението ще бъде закотвено на 25м. от брега в морето, до крайбрежна алея и пешеходна зона, успоредно на бул. „П. К. Яворов“, само в активните летни месеци – от м. май до м. септември.
Крайбрежната алея, до бившия „Лимонаден цех“, също ще бъде рехабилитирана със средства по Програма за морско дело и рибарство 2014-2020. Проектът предвижда подмяна на компрометирана настилка и на старите осветителни тела, подравняване на терена и презатревяване, както и обособяване на места за разходка и отдих.
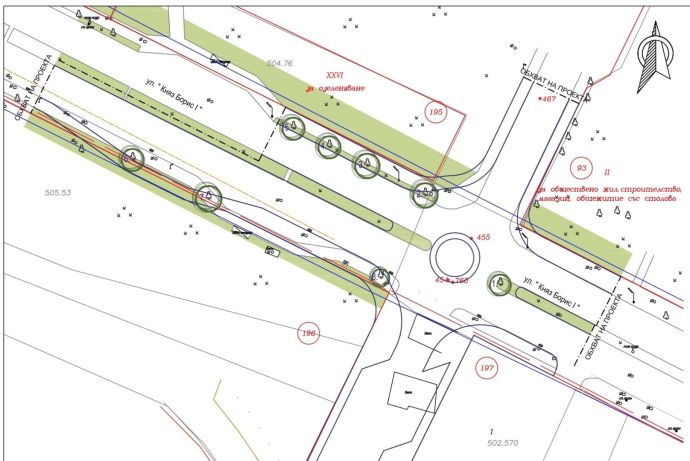
„До началото на следващия туристически сезон ще въведем приетия Генерален план за организация на движението за град Поморие, като целта е въвеждане на максимална еднопосочност на улиците, за да бъде използван капацитетът на уличните платна и за паркиране на автомобили. Това включва и изграждането на нов паркинг в района на „Софарма“. Разработваме граници на зоните за паркиране, като по-големите свободни места ще се оформят като паркинги и ще бъде въведено платено паркиране, съобразено със сезонния характер на града ни и наплива от автомобили през лятото.“ Това каза кметът Иван Алексиев и допълни, че със средства от капиталовата програма на Община Поморие ще бъде изградено ново кръгово кръстовище до бившия Лимонаден цех, което ще разпределя трафика в три посоки – към центъра, към крайбрежната алея и към санаториумите, с което ще се ограничи влизането на автомобили в централната градска част на Поморие.
Със средства от капиталовата си програма, Община Поморие предвижда и цялостен ремонт и подмяна на осветлението на паркинга на МБАЛ Поморие.
0 Коментара